38 THOMAS J RHODES INDUST DRIVETRENTON, NJ 08619



Mortgage Calculator
Monthly Payment (Est.)
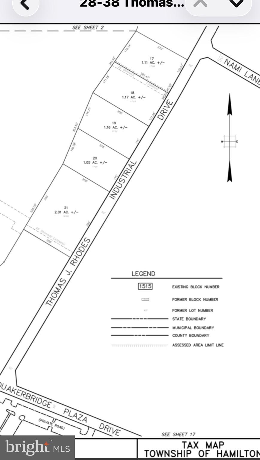
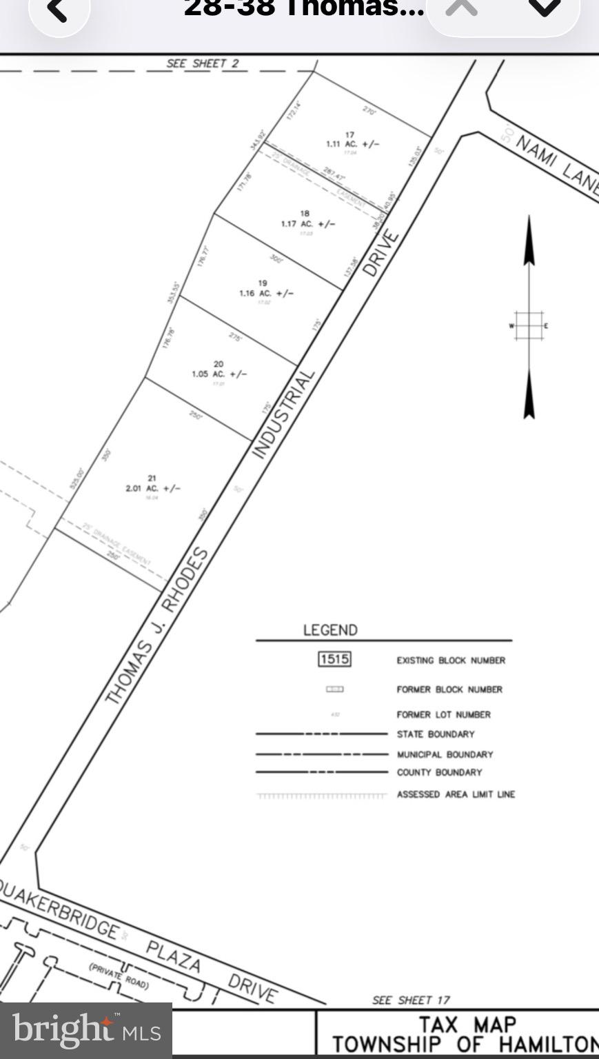
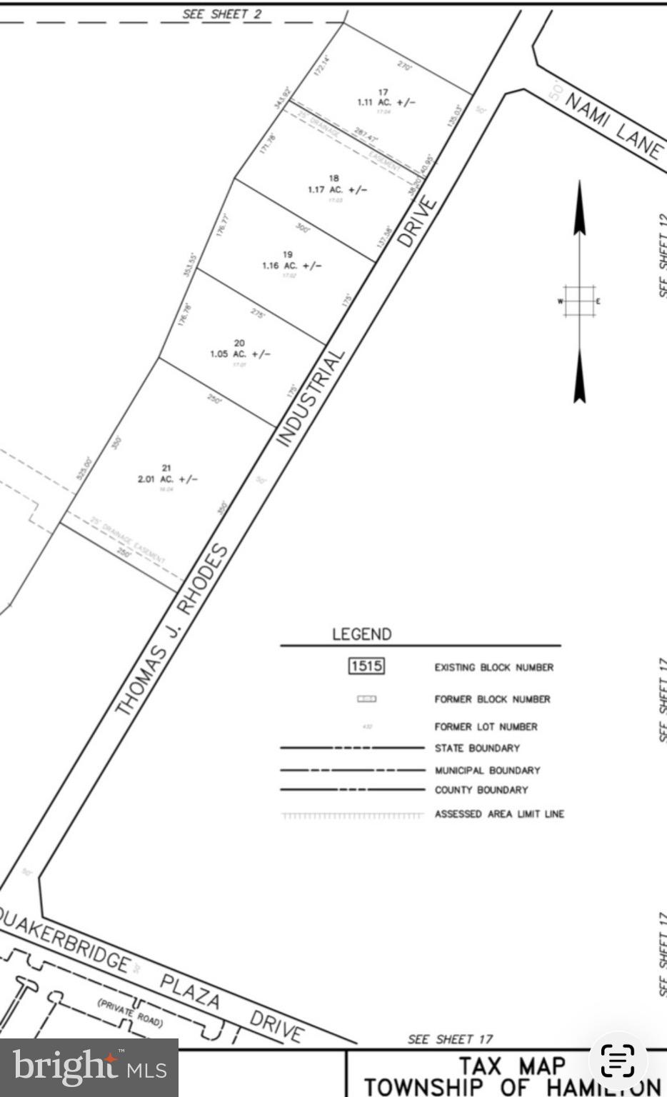
$22,812The final development opportunity within the desirable and strategic Hamilton Corporate Center. The property is fully serviced with natural gas, public sewer, public water, and high‑speed fiber All all on site and available for immediate industrial deployment. This rare industrial opportunity supports a wide range of uses, including but not limited to data center, manufacturing, IOS, commercial, storage cannabis and institutional programs, all within a proven, business‑friendly municipality known for predictable execution. Seller will deliver the property fully entitled and shovel‑ready at Seller’s expense, aligned with Purchaser’s engineering site plan and architectural vision, ensuring a streamlined path from acquisition to construction. With approximately 1,200 feet of frontage along TJR, an average depth of 275 feet, and 331,000 square feet across combined parcels, the site offers exceptional visibility, access, and development flexibility. Conceptuals, soil reports, and detailed site materials are available upon request. The property is not farmland preserved and is offered as fee simple ownership.
| 5 hours ago | Listing first seen on site | |
| 5 hours ago | Listing updated with changes from the MLS® |
The real estate listing information is provided by Bright MLS is for the consumer's personal, non-commercial use and may not be used for any purpose other than to identify prospective properties consumer may be interested in purchasing. Any information relating to real estate for sale or lease referenced on this web site comes from the Internet Data Exchange (IDX) program of the Bright MLS. This web site references real estate listing(s) held by a brokerage firm other than the broker and/or agent who owns this web site. The accuracy of all information is deemed reliable but not guaranteed and should be personally verified through personal inspection by and/or with the appropriate professionals. Properties in listings may have been sold or may no longer be available. The data contained herein is copyrighted by Bright MLS and is protected by all applicable copyright laws. Any unauthorized collection or dissemination of this information is in violation of copyright laws and is strictly prohibited. Copyright © 2020 Bright MLS. All rights reserved.


Did you know? You can invite friends and family to your search. They can join your search, rate and discuss listings with you.